LOADING

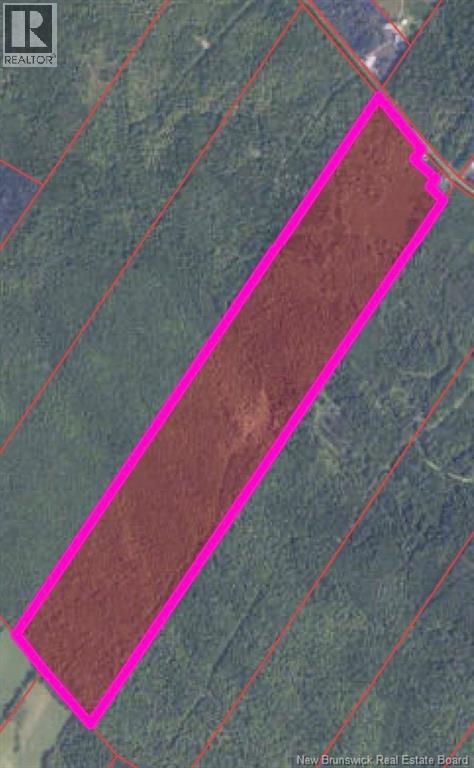
N/a Maple Grove Road Maple Grove, New Brunswick E6B 1W2

Acreage

$105,000

Approximately 105 acres of woodland offering natural beauty and investment potential. The property was commercially thinned 2025 years ago by Your County Wood Producers, allowing for strong regrowth and future harvest opportunities. A former access road runs through the centernow grown in but easily reopened for access. A scenic brook also winds through the property, adding to its appeal as a site for timber harvesting, recreation, or a private retreat. (id:35613)

Property Details

MLS® Number NB128972
Property Type Vacant Land
Features Treed

Building

Utility Water None

Land

Access Type Year-round Access, Public Road
Acreage Yes
Sewer No Sewage System
Size Irregular 105.4
Size Total 105.4 Ac
Size Total Text 105.4 Ac

https://www.realtor.ca/real-estate/29022923/na-maple-grove-road-maple-grove